Townhomes are in the works for the Newman Village neighborhood.
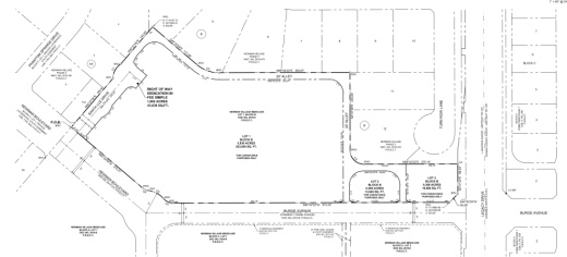
The Frisco Planning and Zoning Commission approved a revised conveyance plat for 54 townhomes on 7.5 acres at a Jan. 28 meeting.
The conveyance plat creates three lots and dedicates the necessary amount of right of way, according to city documents. The townhomes will be located at the northwest corner of Legacy Drive and Burge Avenue.

