Through a resident-led process most commonly seen in the Heights, townhome and commercial development have been effectively barred from a 12-property block in the First Ward for the next 40 years.
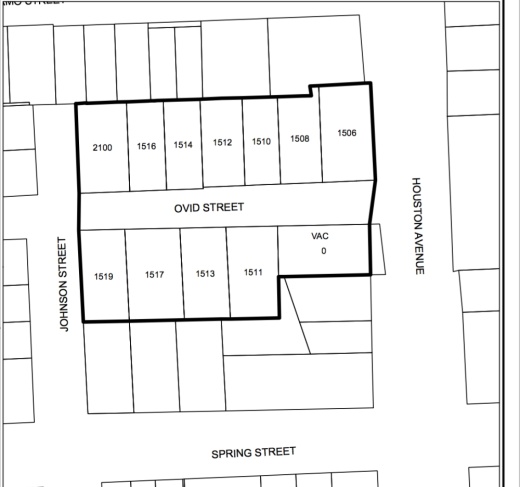
Houston City Council approved the designation of the 1500 block of Ovid Street as a special minimum lot size block, which prevents developers from splitting properties into separate parcels below 4,000 square feet.
The ordinance also stipulates that all residential properties within the area must remain residential. Commercial properties may remain commercial or switch to residential.
The First Ward area, with Washington Avenue to the south, I-10 to the north, I-45 to the east and Sawyer Street to the west, has eight other areas with the same designation, and a portion of the neighborhood is a recognized historic district.
Residents in the Heights commonly use minimum lot size area applications to preserve neighborhood character and property values.
Alternatively, residents in some gentrifying areas of Houston use the same process to stave off development that may push property appraisals higher and force longtime community members out of a neighborhood.

