What happened?
During a joint meeting with the Grapevine City Council and Planning & Zoning Commission June 17, the conditional-use permit from Walmart EV Charging LLC was approved.
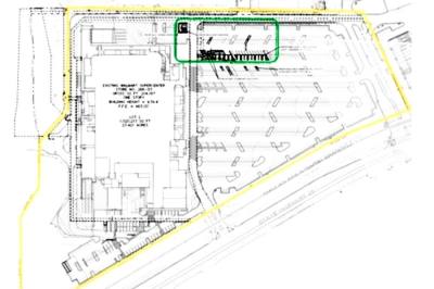
The addition of the EV chargers in the westernmost portion of the parking lot will result in the removal of 18 parking spots and the relocation of three cart corrals, according to city documents.
There will be six total charging stations with 10 90-degree EV stalls and two accessible EV stalls. The pumps will be available 24/7 and the cost to use the pump will be paid through the Walmart app or using a QR code on the machine, Eric Jeon from Kimley-Horn said.
He added the DC Fast Charging will be painted blue to match the "Walmart vibe and Walmart taste" and will be meshed with the pavement to allow for maneuverability.
What else?
The approved request also includes building a masonry wall for screening instead of the proposed landscape plan that was discussed during the meeting. The 7.5-foot masonry screening with trees and shrubs will conceal the mechanical equipment, Jeon said.
“We just felt like this was the safest option for us,” Planning & Zoning Commission Chairman Larry Oliver said when questioned about the masonry wall compared to the landscaping option.
No timetable for the construction was presented during the meeting.
According to the Walmart website, there are five locations in Texas that has EV chargers, with Irving and Plano set to add them, as well.

 
			 
									
 
											 
					