A new single-family residential development is coming to Southlake.
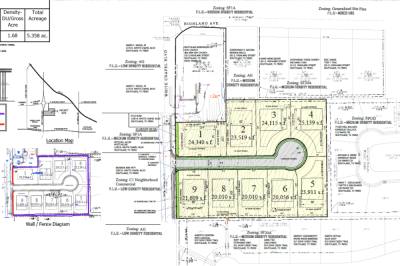
Highland Terrace will consist of nine lots at 101 E. Highland St. The acreage is part of a larger 6.77-acre site occupied by New Day Church, according to a city memo on the project. The church will remain on 1.4 acres with the residential lots being built on the other 5.358 acres.
Southlake City Council voted June 21 on a second reading of an ordinance to change the land use designation from public/semipublic to medium density residential. Council also approved a zoning change from a community services district to a single-family residential district.
An application filed with the city stated this will “be a high-quality, half-acre lot development” from Hat Creek Development. The lots will be at least 20,000 square feet with houses constructed by Southlake-area custom homebuilders, according to documents.

