McKinney City Council approved a request to rezone about 28 acres of land near the southeast corner of Community and James Pitts during a meeting Aug. 4.
The property was rezoned by council to allow for multifamily and single-family uses. This rezoning had previously been approved by McKinney Planning and Zoning commissioners but had changed to decrease the total possible multifamily units and to change the adjacent property of single-family residences to townhomes. This request was subsequently approved by P&Z commissioners July 14.
Bob Roeder presented the project at the council meeting on behalf of the applicant. He did not specify the number of units attached to the project, but did say the multifamily aspect of the project would be no higher than three stories, or 45 feet in height.
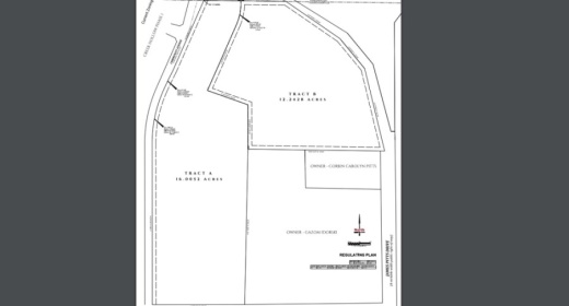
With the revision, about 16 acres would be allocated for townhomes, and 12.24 acres would be zoned for multifamily units. The townhomes would be located along Community, and the multifamily units would be tucked behind the townhomes along James Pitts.
“I think staff is correct in their analysis that if we can move the multifamily ... over there in the back, that's a win-win for everybody,” Roeder said.

